Logo MPT GEO

Geodezja prawna

Naszym celem jest wsparcie z zakresu prawa geodezyjnego, administracyjnego i kodeksu cywilnego wykorzystując nasze doświadczenie i narzędzia zdobyte przez lata.

Obsługa prawna na podstawie:
prawa geodezyjnego i kartograficznego,
prawa administracyjnego, prawa cywilego

Działamy na potrzeby postępowań administracyjnych, typowych postępowań sądowych w zakresie prawa geodezyjnego i kartograficznego, administracyjnego i kodeksu cywilnego.

Gleboznawcza klasyfikacja gruntów

Wykonamy projekty ustalenia klasyfikacji gruntów na potrzeby postępowań administracyjnych na gruntach rolnych, gruntach pod lasami i zrekultywowanych.

Obsługa prawna w zakresie rekultywacji gruntów pokopalnianych i innych gruntów nienadających się do zagospodarowania

Tworzymy opinie oceny stopnia ograniczenia lub utraty wartości użytkowej gruntów na potrzeby postępowań administracyjnych.

Obsługa prawna w zakresie planowania przestrzennego i zagospodarowania terenu

Tworzymy dokumentację jako wsparcie w sprawach przeznaczenia i zagospodarowania gruntów.

Podziały nieruchomości gruntowych

Wykonujemy mapy z projektem podziału nieruchomości wraz z obsługą postępowania administracyjnego.

Mapy do celów prawnych

Wykonujemy mapy na potrzeby podziałów nieruchomości, postępowań sądowych i administracyjnych oraz gleboznawczej klasyfikacji gruntów.

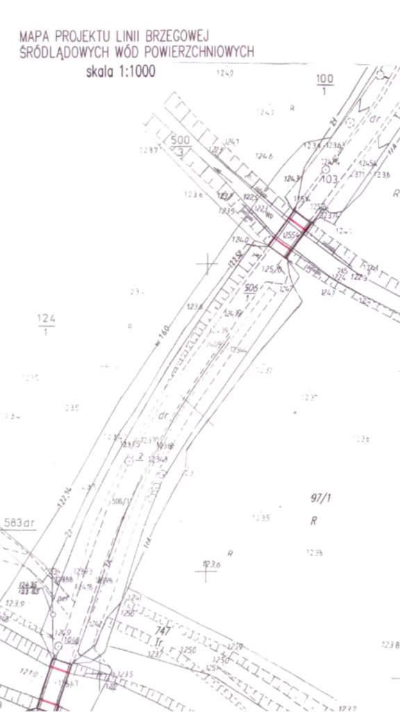
Mapy do ustalenia linii brzegowej wód płynących śródlądowych

Tworzymy dokumentację techniczną na potrzeby postępowań administracyjnych poprzez określenie linii brzegu dla cieków naturalnych, jezior oraz innych naturalnych zbiorników wodnych.

Mapy do celów ustalenia służebności gruntowych

Tworzymy mapy do celów prawnych w celu ustalenia służebności gruntowych oraz opinie i opracowania z tym związane na potrzeby postępowań administracyjnych i sądowych.

Ustalenia przebiegu granic działek ewidencyjnych

Na potrzeby określenia zasięgu własności nieruchomości ustalamy przebieg linii granicznych wraz z opracowaniem dokumentacji technicznej.

Wznowienia znaków granicznych, wyznaczenia punktów granicznych

Jeśli zachodzi potrzeba ponownego wznowienia uprzednio istniejących znaków granicznych, to wykonujemy prace terenowe w celu zastabilizowania lub zamarkowania w terenie tych punktów, zgodnie z przyjętymi standardami technicznymi.

Rozgraniczenia nieruchomości

….czasem może zdarzyć się potrzeba ustalenia przebiegu granic w postępowaniu rozgraniczeniowym. Wówczas wykonujemy ustalanie przebiegu w procesie administracyjnym i prawnym.

Aktualizacja bazy danych ewidencji gruntów i budynków

Wykonujemy dokumentację techniczną na podstawie której zostaną wprowadzone zmiany do operatu ewidencyjnego.